
Associated Winchester address – 80, Stockbridge Road (No. 27 today)
Service number 353613. Royal Navy, HMS Invincible
Killed in action, North Sea (Battle of Jutland), 31 May 1916
William James Mitchell was one of the most difficult of the names on the parish memorials to link with Winchester, let alone with Fulflood and Weeke. Many Mitchells with different initials and Winchester connections were researched. However, through work found in the Hampshire Record Office carried out by anonymous researchers in the 1990s, the link was made. William Mitchell’s stepsister, Laura Page, lived at 80, Stockbridge Road (No. 27 today), and was presumably responsible for having his name placed on the parish memorials. So far, this is his only known link with the area, that of a much-loved brother and uncle and therefore presumably a visitor when he got leave from the Navy. From subsequent research an interesting, complex and poignant, family history emerged.
Laura Page was born in Winchester on 16 May 1872, but her maiden name was not Mitchell as one would have expected but Gale. Her mother was Lucy Sophia Gale, the daughter of Charles and Eliza Gale. The name of Laura’s father is unknown, although one does appear on her marriage certificate.
Laura’s grandfather Charles was born in Garrowby, Yorkshire, in about 1816. By the 1871 Census he, his wife Eliza and their family had been living in Winchester at 19, (now No. 4), North View for about three years. Before that, they had lived in Kings Worthy and Hursley. Charles must have had some formal education beyond elementary age because in 1851 he was a schoolmaster in Kings Worthy with ten residential pupils. In the succeeding censuses his occupation and a small change to his birthplace make interesting reading. By 1861, he was a relieving officer in Hursley, i.e. he collected money for the parish union workhouse. In 1871, he stated he was an accountant and had added Hall to his birthplace of Garrowby. Garrowby Hall is the ancestral home of the Earls of Halifax!
Charles Gale’s wife Eliza, whom he married in the 1840s, was born in Droxford, Hampshire, in about 1819. She had no occupation listed in the 1851 Census but was presumably busy looking after her young family and ten residential pupils. There were no pupils mentioned in the 1861 Census, but Eliza does not appear to have needed to work.
By 1871, however, the Gales seem to have fallen on more difficult times. Eliza was by then an upholsterer and their two adult children, including Laura’s mother Lucy, then 18, also had to earn a living. Living with Charles, Eliza and Lucy were the eldest Gale daughter, Julia, aged 30, a son Frederick, 16, a further daughter Caroline, aged 10, and two grandchildren aged three and one, all with the Gale surname. Lucy was recorded working as a machinist and Julia as a dressmaker.
Laura was born to Lucy Gale in Winchester in 1872 and by the 1881 Census she was living at 8, Avenue Terrace (now Road) with her grandmother Eliza, who was by then a widow. Laura’s unmarried aunt, Caroline, a dressmaker, was also living at the house. Laura would probably have been one of the earliest pupils to attend Western School, which opened in 1878, and was just across the road from her home.
Laura’s mother Lucy, meanwhile, had married William Thomas Mitchell towards the end of 1880 in Winchester. William, aged about 35, had been a sailor in the Royal Navy before becoming a beer retailer. He was also a widower (his first wife, Jane Long, had died in 1879) with a young son, William James Mitchell, who had been born on 29 December 1874 in Gosport, Hampshire.
Through the marriage William James became Laura Gale’s younger stepbrother, although there was no blood relationship. In the 1881 Census, the newly married Lucy and William Mitchell were living in Alverstoke, near Gosport, with William Jnr.

William James Mitchell – family tree
It is not known when Laura joined her mother, stepfather and stepbrother in the Portsmouth area, but it was certainly early enough for her and William James to develop a close sibling relationship. Perhaps Laura left Winchester to join them in 1881, shortly after her mother’s marriage and after the census in April 1881 was compiled. Or maybe it was after she had finished her time at Western School in about 1885, when she was 13 and William nearly 11.
William Thomas Mitchell died in 1889. By the 1891 Census his widow Lucy was living in Portsea (Portsmouth) with her daughter Laura. Lucy was working as a laundress and Laura, whose surname was given as Mitchell, as a domestic servant. There were also two lodgers at the address. Back in Winchester, Laura’s grandmother, the redoubtable Eliza, by then 72, was sharing a household with another widow and her family at 21, Lower Stockbridge Road (now 52, Stockbridge Road). She was still working as an upholsterer and had three grandchildren, aged from one to 14 living with her.
By 1891 William James Mitchell, then aged 16, appears to have left home; indeed, no trace of him has so far been found in that year’s census. Nor is it known whether he was present when his stepsister Laura married Ernest Page in Alverstoke in the spring of 1894. On the marriage certificate she gave her name as Laura Laurie Gale and her father’s as Ernest Laurie Gale, an agent. It has not been possible to trace this name and it has been suggested that it was a fabrication to cover the fact that Laura was illegitimate. Laura gave birth to a son, Ernest, later in 1894 but he died two years later.
The year 1894 was a landmark, too, for 19-year-old William Mitchell who joined the Royal Navy at Portsmouth as a Domestic (3rd Class), service number 353613. His service record has survived and it gives a physical description of William: he was 5ft 3ins tall, with hazel eyes, a fresh complexion and fair hair. The record also lists all the ships that he served on from 1894 to 1916.
William served on his first ship, HMS Seahorse, from 1894 until 28 February 1900. Seahorse had been built in 1880 as a sea-going tug, but she was also used for salvage, as a tender, a survey ship and occasionally as a gunship. She was based at Portsmouth so William would have had plenty of opportunity to visit family there and in Winchester.
William James Mitchell’s Navy career
| DATE | SHIP | RANK/EVENT |
| 1894 | Joined RN | Domestic 3rd class |
| 11 October 1894 | Seahorse | |
| 28 February 1900 | Duke of Wellington | |
| 07 March 1900 | Warspite | |
| 01 July 1902 | Duke of Wellington | |
| 26 July 1902 | Domestic 2nd class | |
| 09 November 1902 | Good Hope | |
| 01 April 1905 | Domestic 1st class | |
| 09 November 1902 | Good Hope | |
| 15 July 1907 | Victory | |
| 01 October 1907 | Officers Steward 2nd class | |
| 02 October 1907 | Illustrious | |
| 02 June 1908 | London | |
| 04 October 1908 | Surprise | |
| 008 October 1908 | Officers Steward 1st class ‘Captain's Steward’ | |
| 26 March 1909 | Victory | |
| 14 April 1909 | Ariadne | |
| 26 August 1910 | Victory | |
| 25 November 1910 | Gap in service records | |
| 10 December 1910 | Hermes | |
| 01 January 1913 | Hyacinth | |
| 23 January 1913 | Victory | |
| 20 April 1913 | Achilles | |
| 01 March 1915 | Invincible | |
| 31 May 1916 | Invincible | ‘Discharged Dead Killed in Action’ Battle of Jutland |
The first mention in Warren’s Directory of Ernest Page (the husband of William’s stepsister Laura) being a householder in Winchester was in 1896, when he was listed at 14, Elm Road - the address then and now – which was probably the couple’s first home together. Ernest, one of six children, had been born in Winchester in 1872. His mother died when he was young and he was looked after by his father who worked as a carpenter as well as publican of the Mildmay Arms in Eastgate Street where the family lived for a time.
By 1897, the year after the death of their young son, Laura and Ernest had moved to 24, Elm Road (the number then and now). In 1898 Laura gave birth to a son, William, and a daughter, Dorothy, on 18 July 1899. Dorothy was christened at St Matthew’s Church, Weeke, on 13 August the same year. She was to grow up and play an important part in the life of Bertram Stroud, another man whose name is on the parish memorials.

14, Elm Road, Winchester, William Mitchell’s stepsister
Laura lived at this property with her family from
1896 to 1897. William probably knew the house

24, Elm Road, Winchester, William Mitchell’s stepsister Laura lived at this
property with her family from 1897 to 1904.
William probably knew the house
In the 1901 Census Laura and Ernest Page were still at 24, Elm Road, Fulflood, with their two young children. However, not all appears to have been well in the life of Lucy Mitchell, Laura’s mother and William Mitchell’s stepmother, who was recorded living at the Winchester Union Workhouse, then in Upper Stockbridge Road, now St Paul’s Hill. Her age was given as 49 and her occupation as a barmaid. Perhaps Lucy was ill in the infirmary or the isolation ward and not in the workhouse proper. If she were ill that would explain why she was not living with her daughter.
It should be noted that by 1901 workhouses were not the grim institutions depicted by Charles Dickens in Oliver Twist. If Lucy were actually in the main workhouse then there may have been all sorts of reasons why she could not live with Laura and Ernest. Space, for example, may well have been a problem. Although the Elm Road property had three bedrooms, the Gale family was expanding and there were also two lodgers living there.
Meanwhile, William Mitchell’s naval career was progressing well. He left HMS Seahorse on 28 February 1900 and after a brief posting on HMS Duke of Wellington he moved to HMS Warspite on 7 March 1900 and was recorded among the ship’s crew in the 1901 Census. William remained with HMS Warspite until 1 July 1902. There followed another period based on HMS Duke of Wellington at Portsmouth and on 26 July 1902 he was promoted to Domestic (2nd Class). No date is given in his service record for leaving HMS Duke of Wellington and he was not appointed to his next ship HMS Good Hope until 9 November 1902. The Good Hope was a new armoured cruiser brought into service under the command of Captain Charles Madden. William was promoted to Domestic (1st Class) on 1 April 1905.
William’s time on HMS Good Hope coincided with his stepsister Laura and family moving to 80, Stockbridge Road (No. 27 today) where a second son, George, was born in 1904. In 1906, William’s stepmother Lucy died at the Winchester Workhouse, aged 54. She was almost certainly buried in West Hill Cemetery, probably by the southern wall where workhouse inmates were put in unmarked graves.
In 1906 HMS Good Hope became the flagship of the Admiral of the First Cruiser Squadron in the Atlantic Fleet. This was based at Gibraltar and for the first time William would have had a chance to ‘see the world’ rather than simply the waters around the British Isles. William served on HMS Good Hope until 15 July 1907. There then immediately followed time on HMS Victory I, Nelson’s former flagship and another accommodation and stores ship at Portsmouth.
William became Officers’ Steward (2nd Class) on 1 October 1907 and the next day was posted to HMS Illustrious where he remained until 1 June 1908. These dates coincide with those of the captaincy of Hugh H.D. Tothill who was to be captain of HMS Conqueror in the Second Battle-Cruiser Squadron at the Battle of Jutland in 1916.
After HMS Illustrious, William Mitchell went to serve on HMS London, another pre-Dreadnought battleship, from 2/3 June to 4 October 1908 when it was part of the Channel Fleet. He was then immediately assigned to HMS Surprise and promoted to Officers’ Steward (1st Class) on 8 October. It is probably from this point in his career that William’s family would have referred to his role as the ‘Captain’s Steward’. HMS Surprise, a small despatch boat, was different to any vessel William had previously served on. Its role was to carry military dispatches as quickly and as safely as possible. Surprise was not as high profile as some of his previous ships, but perhaps new Officers Stewards (1st Class) had to work their way up to the more prestigious warships?
From the time that William Mitchell joined the Navy in 1894, he had always got ‘Very Good’ in his annual assessments. His role, along with his fellow 1st Class Officers’ Stewards, would have been to keep the officers’ uniforms in good repair, to lay and serve at their tables and look after the silver tableware. When the ship was at ‘Battle Stations’ he might have had an active role as a first-aider. HMS Invincible, the last ship William served on, had 12 such Officers Stewards (1st Class) working the three-watch system, so possibly three or four of them would be on duty at any one time.
After leaving HMS Surprise on 26 March 1909, William had just over a fortnight based at HMS Victory 1 at Portsmouth. He was then assigned to the cruiser HMS Ariadne from 14 April 1909 until 26 August 1910. After this posting, he was based again at HMS Victory 1 for more than two months until 25 November 1910. Intriguingly, there is then a gap of just over two weeks in his service record, until 10 December 1910 when he was assigned to HMS Hermes.
The 1911 Census shows William’s stepsister Laura and her family still living at 80, Stockbridge Road. The names of three children are given: William, aged 13, who was at school but also earning money as a newsboy; Dorothy, 11, and also at school; and seven-year-old George. Another daughter, Beattie, who had been born after the 1901 Census, was listed staying with her father Ernest’s younger sister, Henrietta, and her husband George Powell.
William Mitchell has not yet been found on the 1911 Census but from his service record we know that he was on the cruiser HMS Hermes in April that year. Hermes was the flagship of Sir Paul Warner, Commander-in-Chief of the Cape of Good Hope and West Africa Stations, based at Cape Town, South Africa. This must have been a prestigious posting for William as there would have been much official entertaining. While on Hermes he had his annual assessment on 31 December 1911, and from then on, the word ‘Supr.’ (Superior) was added to his usual ‘Very Good’.
William was signed off from HMS Hermes on 31 December 1912 when the ship returned to England for a refit. He was reassigned on 1 January 1913 to another cruiser, HMS Hyacinth, but only for three weeks before being posted home to Portsmouth where he served on HMS Victory 1 from 23 January to 19 April 1913.
The following day, William joined HMS Achilles, part of the Second Cruiser Squadron. The squadron was itself part of the First Fleet, within the Home Fleet. The First Fleet and part of the Second Fleet became the Grand Fleet in August 1914. HMS Achilles was one a group of ships sent on 2 August 1914 to defend the Shetland Islands, while the newly-formed Grand Fleet went to its battle stations at Scapa Flow in the Orkney Islands. The Second Cruiser Squadron, including HMS Achilles, was assigned to the Grand Fleet after the Great War broke out on 4 August. It was based at Rosyth, in the Firth of Forth, under Rear-Admiral Sir David Beatty’s Battle-Cruiser Squadron. William Mitchell remained on board HMS Achilles until 28 February 1915.

The battle-cruiser HMS Invincible, William Mitchell’s last ship
On 1 March 1915 William Mitchell joined his last ship, the battle-cruiser HMS Invincible, under Captain Arthur Cay. Built in 1907, Invincible was comparatively lightly armoured but fast and bristling with heavy guns. She had already seen action in the North Sea in August 1914 at the Battle of Heligoland Bight.
On 8 December 1914, Invincible, together with another battle-cruiser, HMS Inflexible, had sunk the German armoured cruisers Gneisenau and Scharnhorst in the South Atlantic. Invincible had then joined Beatty’s Battle-Cruiser Squadron based at Rosyth. In March 1915 she was joined there by the battle-cruiser HMS Indomitable and then HMS Inflexible in June. Together, the three ships formed the Third Battle-Cruiser Squadron with Invincible designated the flagship of Rear-Admiral Sir Horace Hood from 27 May 1915.
There were no major actions for HMS Invincible in 1915. However, William managed to get some shore leave because in the second quarter of that year he married Blanche E. Volker. Blanche was from Portsmouth so she and William may have met when he was on shore leave in the city. Their wedding, however, took place in Winchester and one wonders if Laura Page and her family helped to host the celebrations for her stepbrother and his bride.
The year 1916 was much more active for HMS Invincible and William Mitchell. On 24-25 April, a squadron of German warships bombarded Yarmouth and Lowestoft and Beatty was sent to intercept them with the First and Third Battle-Cruiser Squadrons. In the bad weather, they missed the German force, but on the way back to base Invincible had the indignity of being rammed by a smaller British boat and had to limp home to Rosyth for repairs which lasted until 22 May. Almost immediately the Third Battle-Cruiser Squadron was sent to Scapa Flow for gunnery practice. Scapa Flow was the main base for the British Grand Fleet and here Invincible came under the control of Admiral Sir John Jellicoe. For this reason, William Mitchell’s squadron fought at Jutland under Jellicoe’s leadership and not with the other battle-cruiser squadrons under Beatty.
The Battle of Jutland was conceived as one of several German plans to lure Beatty’s force into the North Sea and to defeat it before the Grand Fleet could join them from Scapa Flow. This would give the German Navy parity with the British in the North Sea and make it possible for them to get out into the Atlantic and break Britain’s vital trade routes, especially with North America. (Previous German attempts in 1914 are described in the biography of Bert Newby.)
Jutland was fought over 36 hours from 31 May-1 June 1916 between the British Grand Fleet and the German High Seas Fleet off Denmark’s Jutland Peninsula. It involved much manoeuvring and had three phases. The first involved contact between Vice-Admiral Franz Von Hipper’s fast scouting group of five modern battle-cruisers and Beatty's two battle-cruiser squadrons from Rosyth. Hipper’s force was used as ‘bait’ to lure Beatty into the path of the main German fleet.
Because the German naval codebooks had been captured by the Russians in 1914 and shared with her allies, the British knew the German High Seas Fleet was planning to come out of harbour, but owing to a failure of communication between the Admiralty and Jellicoe they did not know when. On 30 May the Grand Fleet under Jellicoe left Scapa Flow. The force included the Third Battle-Cruiser Squadron under Rear-Admiral Hood on board HMS Invincible, which was under orders to rendezvous with Beatty's Battle-Cruiser Fleet coming out from Rosyth. Beatty’s role was to try to cut off Hipper’s advance force from its base. However, the British did not know that the High Seas Fleet under Admiral Reinhard Scheer had left harbour and was close behind Hipper’s force.
Once Beatty’s and Hipper’s ships came within gunnery range on 31 May, Hipper was the first to fire at 3.48pm and HMS Indefatigable, in Beatty’s Second Battle-Cruiser Squadron, was sunk at 4.05pm. HMS Queen Mary, in the First Battle Cruiser Squadron with Bert Newby and Charles Winter on board, was sunk by 4.26pm. (This first phase of the battle is described in more detail in Bert Newby's biography Queen Mary.)
Towards 5pm Beatty was told that the German High Seas Fleet had been sighted. This was the first news that Beatty - and, shortly afterwards, Jellicoe - had that Scheer’s battle fleet was at sea. HMS Invincible had not been involved in the first phase of the battle, but at 5.30pm Jellicoe ordered Hood and the rest of the Third Battleship Squadron to go to assist Beatty. Hood was on the bridge of Invincible with his Flag Captain Cay when he sighted Beatty’s force at 6.10pm.
The second phase of the battle, when the two nations’ fleets engaged each other for the first and last time in the Great War, opened with HMS Invincible firing on and disabling the German ships Wiesbaden and Pillau. She then inflicted two serious hits on the battle cruiser Lutzow. At 6.30pm, however, Invincible suddenly appeared as a clear target for Lutzow and Derfflinger. (Changing visibility created by the smoke, mist, and the light of the setting sun played a vital role in the battle.)
The two German ships each fired three salvoes at Invincible. A shell from the third salvo blew the roof off her Q-turret, detonating the ammunition below and causing the ship to blow up and sink in just 90 seconds. Eyewitness accounts reported that flames shot up from Invincible and then a huge fiery burst with huge columns of dark smoke, mottled with blackened debris, swelled up hundreds of feet into the air.

HMS Invincible, with William Mitchell on board, explodes after being hit by a salvo
of German shells at the Battle of Jutland on 31 May 1916.
The photo was taken from a nearby British destroyer.
The explosion caused HMS Invincible to split into two with its bow and stern sticking in the air before both halves sank. All but six of her crew of 1,032 were killed. Among the dead were Rear-Admiral Hood, Captain Cay and William Mitchell.

HMS Invincible, with William Mitchell on board, sinks at the Battle of Jutland on 31
May 1916. The photo was taken from a nearby British destroyer.
The third and final phase of the battle occurred during the night of 31 May/1 June with sporadic fighting by both sides in the dark. By early morning, the German High Seas Fleet was heading for its home base and safety. The Germans quickly claimed victory – after all, they had lost fewer ships and men – but historians today generally agree that the battle resulted in a British strategic victory because the German fleet did not venture out of port for the rest of the war. At the time, however, the outcome caused consternation in the British Admiralty and among a public who had always assumed the overwhelming supremacy of the Royal Navy. This was reflected in the sombre reports that appeared in all newspapers, including the Hampshire Chronicle, immediately after the battle.
A total of 8,645 men were killed and 1,178 wounded at Jutland. Of these, the British lost 6,094 with 674 wounded and the Germans 2,551 and 504 wounded. British shipping losses amounted to 113,000 tons compared to 62,300 tons for the German fleet. Alarmingly for the British, three modern battle-cruisers – Invincible, Indefatigable and Queen Mary – all sank very rapidly after suffering internal explosions. An investigation revealed that ammunition handling practices caused flash fires after a ship was hit.
These then spread rapidly to the ammunition stores resulting in the subsequent devastating explosions. The findings led to changes in ammunition handling aboard British ships.
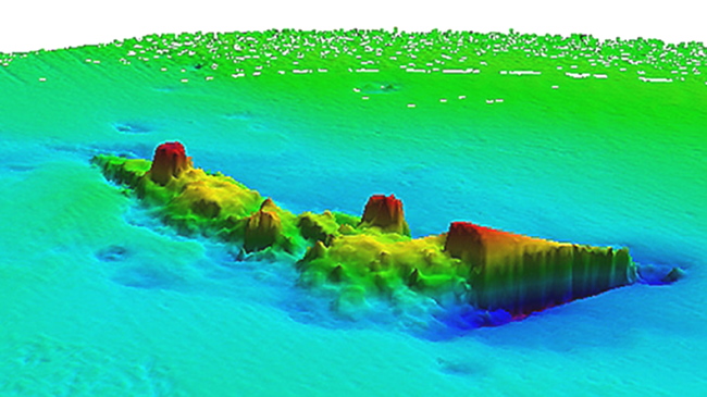
After the war, Invincible was located by a Royal Navy minesweeper lying on a sandy bottom at a depth of 180ft. The ship’s stern was right-side up and the bow upside-down. Today, the wreck of HMS Invincible is subject to the Protection of Military Remains Act 1986.

A modern scan of the wreck of HMS Invincible 180ft down on the bed of the North Sea
In June 1917 three In Memoriam notices were published together in the Hampshire Chronicle to commemorate the first anniversary of William Mitchell’s death. The first, which contains a poem adapted from ‘Maud’ by Alfred Tennyson, was from his wife, Blanche, although she did not give her name, only her address. (In the transcription by Ancestry of the Navy Grave Roll 1914-1919, the name of William’s wife is given as Blanche Elizabeth Mitchell with the same address in Portsmouth as on the notice.) The notice reads:
In ever loving memory of my dearly beloved husband, William James Mitchell (Captain’s Steward),
killed in action on May 31st 1916 on HMS Invincible.
Ah! Christ if it were possible
For one short hour to see
The face I love, that he might tell me
How and where he be
I miss him and mourn him in silence, unseen
And I think of the days that might have been.
FROM HIS SORROWING WIFE
19, St. George’s Road East Southsea.
As no child is mentioned, it can be presumed that William and Blanche had no children. They had only been married for about a year, most of which William had spent at sea.
The second notice, from William’s stepsister Laura Page, reads:
In ever loving memory of my dearly beloved brother, James Mitchell
(Captain’s Steward), who lost his life 31st May 1916 on HMS Invincible.
Gone but not forgotten
From his loving sister Laura.
The final notice was from Laura and Ernest Page’s surviving children, William, Dorothy, Beattie and George:
In loving memory of our dear Uncle William James Mitchell who lost his life 31st May 1916
on HMS Invincible
From his loving nieces and nephews
Dorsie, Beattie, Willie & George
Dorothy (Dorsie) Page, William Mitchell’s niece, suffered a further bereavement in October 1916 when her fiancée Bertram Stroud was killed at the Battle of the Somme (see Bertram Stroud's biography). Dorothy later married Harry Pheby and they went to live at 20, Cranworth Road, Winchester. The couple are not thought to have had any children. After Harry’s death, Dorothy was recorded living with her mother Laura at 27, Stockbridge Road. Dorothy died in Portsmouth in 1983.
Ernest Page may have died in Winchester in 1928, aged 58, but this age does not tally with other records for him. The last mention of him in Warren’s as the householder for 27, Stockbridge Road was in 1929 after which his wife Laura, William Mitchell’s stepsister, took over as the householder. In the 1939 Register Laura was still at the same address together with her daughter Dorothy and Kenneth H. Page. Kenneth, who was single, had been born on 29 September 1913 and was a Winchester City Police Constable. His relationship to Laura is unclear. Laura remained at 27, Stockbridge Road until her death on 29 October 1954, aged 82. She had lived at the house since 1904.
Beattie Page, William’s youngest niece, married Thomas Pratt in Winchester in 1928. In 1939 they were living in Chichester where Thomas worked as a cinema projectionist. The Pratts do not appear to have had any children. Beattie died in Southampton in 1996, aged about 95.

William’s name appears on the Naval Memorial
on Southsea Common in Portsmouth

William’s name on the Naval Memorial
on Southsea Common in Portsmouth
William James Mitchell, Officers’ Steward (1st Class) was entitled to the British War Medal and the Victory Medal. His final resting place, HMS Invincible, off the coast of Denmark, is a protected war grave. William’s name appears on the Naval Memorial (above and right) on Southsea Common in Portsmouth (GN 21) and in Winchester on the memorials at St Paul’s and St Matthew’s churches.
Additional sources